Satılır obyekt 75 m²

Bakı, Nərimanov · Atatürk pr. · Bina.Az

Satış EML-018893 10

Əmlakın təsviri

Kateqoriya

Obyekt

Ümumi sahə

75.00m²

Təsvir

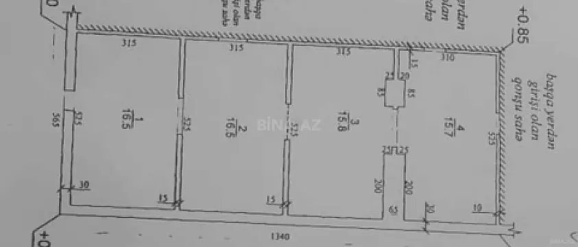
Atatürk – Ziya Bunyatov – Teymur Əliyev küçələrin ahətəsində . Qeyri yaşayış sənədli-75 kv . m. – 4 otaqlı təmirsiz polu podval satılır. Hər təyinata uyğundu. Dəyərindən uçuz satılır. ----------------------------------------- В окружности проспектов : Ататурка , Зия Буньятова и Теймур Алиева. Продаётся нежилое помещение полуподвал (купча не жилая) -75 кв.м. – 4 комнаты без ремонта, подходит под любой вид деятельности. Продаётся ниже себестоимости.

Xəritə

Bazar analitikası

Qiymət / m²

1,000 AZN/m²

Ortadan 72.8% sərfəli

Rayon ort: 3,675 AZN/m²

Nərimanov

3 675 AZN/m²

Son 6 ay: -1.4%

Rayon orta qiymət

Market

Artim

Son 3 ay: +23.70%

Aktiv: 7921 Yeni: 4017 Tələb: Aşağı
75 000 AZN
G

Gözəl xanım

Etibarlı
Sürətli
Real foto
1 nəfər son 24 saatda baxıb
Çəkiliş sifarişi

Bu sayt düzgün işləmək üçün cookie-lərdən istifadə edir. Ətraflı